Local Service Overview

Get Ants Extermination Service in Adairsville, GA

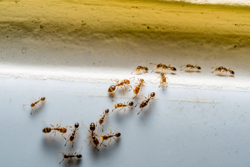
Ants extermination services for property owners in Adairsville, GA, and nearby areas address ant infestations, prevent future invasions, and manage ant-related problems in residential and commercial properties.

Adairsville, GA

Ants extermination services provide property owners in Adairsville, GA with effective solutions to manage and eliminate ant infestations. Addressing these pests helps maintain a comfortable living or working environment by preventing the nuisance and potential damage caused by ants. Additionally, professional extermination enhances safety by reducing the risk of ant-related contamination or bites, ensuring the property remains a secure space for residents and visitors alike.

Utilizing expert ant control services also supports the overall functionality and durability of a property. By preventing ant colonies from compromising structural elements or electrical systems, property owners can reduce ongoing maintenance needs and preserve the integrity of their buildings. Furthermore, a pest-free exterior improves curb appeal, making the property more attractive and welcoming to visitors or potential buyers.

Get Ants Extermination Service Quotes

  • Ant Infestation Removal - needed when ants invade homes or businesses in Adairsville, GA and surrounding areas.
  • Kitchen Ant Control - required when ants are found in food preparation or storage areas.
  • Outdoor Ant Extermination - necessary to eliminate ant colonies in lawns, gardens, or outdoor structures.
  • Persistent Ant Problem Solutions - sought when ant activity continues despite basic cleaning and prevention efforts.
  • Spring and Summer Ant Treatments - advised during warmer months when ant activity typically increases in nearby communities.

Get Ants Extermination Service Quotes

Ants Extermination Service
Ants Extermination Service
Ants Extermination Service

Ants extermination services involve the identification and elimination of ant infestations within residential, commercial, and industrial properties. Professionals typically conduct a thorough inspection to determine the extent of the ant problem and locate nests or entry points. Treatment options may include targeted application of ant baits, residual insecticides, or dusts designed to reduce ant populations effectively. The goal is to eliminate visible ants and address underlying sources to prevent future invasions, ensuring property owners can regain control of their indoor and outdoor spaces.

These services help resolve common issues caused by ant infestations, such as property damage, contamination of food supplies, and general nuisance. Certain ant species, like carpenter ants, can cause structural damage by hollowing out wood, while others, such as fire ants, pose stinging risks to residents and visitors. An effective extermination service not only removes active ants but also implements preventative measures to discourage re-infestation, contributing to a safer and more comfortable environment.

Properties that frequently utilize ants extermination services include single-family homes, apartment complexes, restaurants, and retail stores. Homes often seek treatment to protect food storage areas and prevent damage to wooden structures. Commercial establishments, especially food service businesses, require pest control to meet health standards and maintain a pest-free reputation. Additionally, warehouses and storage facilities may also engage pest control providers to safeguard inventory from ant-related issues and potential contamination.

Engaging with local pest control professionals for ants extermination ensures that property owners receive tailored solutions suited to their specific needs. These experts bring experience in managing various ant species and infestation levels, offering targeted treatment plans to effectively address the problem. Contacting a local service provider can help property owners find the appropriate assistance to manage ant issues efficiently and maintain a pest-free environment.

The overview below groups typical Ants Extermination Service projects into broad ranges so you can see how smaller, mid-sized, and larger jobs often compare in Adairsville, GA.

In many markets, a large share of routine jobs stays in the lower and middle ranges, while only a smaller percentage of projects moves into the highest bands when the work is more complex or site conditions are harder than average.

Initial Inspection - The cost for an ant inspection typically ranges from $50 to $150, depending on property size and complexity. This fee may be included in the overall treatment cost or billed separately.

Perimeter Treatment - Applying ant control treatments around a home’s exterior generally costs between $100 and $300. Larger properties or those with severe infestations may incur higher charges.

Spot Treatments - Targeted ant spot treatments inside the home usually cost between $75 and $200 per session. The price varies based on the extent of the infestation and treatment area.

Ongoing Service Plans - Regular ant control service plans can range from $200 to $600 annually. These plans often include multiple visits and preventative treatments to manage ant populations effectively.

Actual totals will depend on details like access to the work area, the scope of the project, and the materials selected, so use these as general starting points rather than exact figures.

Get an Ants Extermination Service Quote

Ants Extermination - Local pest control providers offer targeted treatments to eliminate ant colonies and prevent future infestations in residential and commercial properties.

Ants Inspection - Professionals conduct thorough inspections to identify ant entry points, nesting sites, and infestation severity to determine appropriate treatment strategies.

Ants Prevention - Service providers implement barrier methods and recommend measures to reduce attractants, helping to keep ants from re-entering the property.

Ants Baiting - Experts set up bait stations and monitor ant activity to effectively reduce colonies with minimal disruption to the environment.

Ants Removal - Local pros utilize safe and effective removal techniques to eradicate ant populations from affected areas.

Ants Control Consultation - Pest control specialists offer advice on ongoing management practices to minimize ant problems and maintain a pest-free space.

Ants Extermination Service

When evaluating local ant extermination service providers, experience is a key factor to consider. Homeowners should look for contractors with a proven track record in pest control, particularly in handling ant infestations similar to their own. Established professionals often demonstrate a history of successful treatments and ongoing service, which can be indicative of their familiarity with local ant species and effective strategies. Gathering information about how long a provider has been operating and their familiarity with the area can help in assessing their capability to deliver reliable results.

Clear communication and well-defined expectations are essential when working with local pest control providers. Reputable service providers typically outline their treatment processes, what homeowners can expect during and after the service, and any necessary follow-up steps. Having detailed, written expectations helps ensure that both parties are aligned, reducing misunderstandings and providing a transparent experience. Homeowners should seek providers who are willing to answer questions thoroughly and provide documentation or guidance on how to maintain a pest-free environment.

Reputation and references play a significant role in choosing a pest control professional. Local providers often have established relationships within the community, and reputable ones can offer references or testimonials from previous clients. These references can provide insights into the quality of service, professionalism, and effectiveness of the treatments. Additionally, good communication and responsiveness from a provider can be indicative of their commitment to customer satisfaction. Since the information below connects homeowners with local pros, it’s advisable to contact multiple providers to compare their experience, reputation, and communication style before making a selection.

Get an Ants Extermination Service Quote

Property owners in Adairsville, GA use Ants Extermination Service services for practical projects around their homes and businesses. The sections below highlight everyday jobs and straightforward project options.

Ants Extermination Service
Ants Extermination Service

Ants extermination services are commonly sought after by property owners in Adairsville, GA, who notice ant activity around their homes or businesses. Common situations include discovering ant trails in kitchens, bathrooms, or outdoor areas, which can indicate an ongoing infestation. Property owners may also seek professional help when ant problems persist despite using over-the-counter treatments or when they want to prevent future invasions, especially during warmer months when ant activity tends to increase.

In addition to visible ant colonies, property owners might look for extermination services to address concerns about potential damage or hygiene issues caused by ants. For example, ants can contaminate food supplies or create nests inside walls and foundations, leading to structural concerns. Local service providers can assess the situation and recommend appropriate treatment options to help maintain the safety and comfort of homes and properties in the area.

Get an Ants Extermination Service Quote

How do ant extermination services work? Ant extermination services typically involve inspecting the affected area, identifying ant species and entry points, and applying targeted treatments to eliminate colonies and prevent future infestations.

Are ant treatments safe for pets and children? Most ant extermination methods used by local service providers are designed to be safe when applied according to instructions, but it is recommended to discuss safety concerns with the contractor beforehand.

How long does an ant extermination treatment last? The duration of effectiveness varies depending on the treatment method and extent of the infestation; a professional can provide guidance on maintenance or follow-up services.

Can I prevent ants from returning after treatment? Preventative measures such as sealing entry points, removing food sources, and maintaining cleanliness can help reduce the likelihood of ants returning, with guidance from local pros.

How do I know if the ant problem is resolved? A local pest control provider can assess the area after treatment to determine if the ant activity has ceased and advise on any necessary follow-up actions.

Ants Extermination Solutions - Local service providers offer targeted treatments to eliminate ant infestations and prevent future outbreaks.

Inspection and Identification - Professionals can assess property conditions to identify ant entry points and nesting sites for effective removal strategies.

Preventive Pest Control - Experts recommend ongoing prevention methods to keep ants from returning and protect home and property integrity.

Customized Treatment Plans - Service providers develop tailored approaches based on the specific ant species and infestation severity.

Ants Extermination Service

Considering Ants Extermination Service for a property in Adairsville, GA? The sections above highlight common project types, practical options, and details that often shape the scope of work.

When you are ready, use the quote form to share a few details about your project. Local pros can review the basics and respond with options that match what you have in mind.

Get an Ants Extermination Service Quote

Ants Extermination Quotes

Our Trusted Partners
Orkin
Hawx Pest Control
Rentokil-Terminix