Local Service Overview

Get Ants Extermination Service in Cartersville, GA

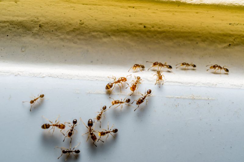
Ants extermination services for Cartersville, GA, property owners address ant infestations, including residential and commercial projects like kitchens, basements, and outdoor areas.

Cartersville, GA

Ants extermination services offer property owners in Cartersville, GA a practical solution to prevent infestations that can compromise comfort and safety. Ants can invade homes and businesses, leading to potential disruptions and concerns about hygiene. Professional extermination helps eliminate existing colonies and creates a barrier against future invasions, ensuring spaces remain functional and free from pests. This proactive approach can reduce ongoing maintenance needs and protect the integrity of structures by preventing damage caused by persistent ant activity.

Engaging with local extermination experts provides benefits such as enhanced curb appeal and increased durability of property features. A pest-free environment contributes to a more inviting appearance, which is especially important for homes and commercial spaces alike. Additionally, effective ant control can help maintain the overall condition of a property, minimizing the risk of damage and the need for costly repairs. These services support a more comfortable, safe, and visually appealing environment for residents and visitors in Cartersville.

Get Ants Extermination Service Quotes

  • Ant Infestation Removal - needed when ants invade homes or businesses in Cartersville, GA and surrounding areas.
  • Ant Control Treatments - suitable when ants are establishing colonies outdoors near residential or commercial properties.
  • Preventive Ant Barrier Services - recommended to stop future ant invasions in homes and commercial spaces.
  • Indoor Ant Extermination - required when ants are actively foraging inside living or working areas.
  • Outdoor Ant Nest Elimination - essential for removing ant colonies located in yards, gardens, or around structures.

Get Ants Extermination Service Quotes

Ants Extermination Service
Ants Extermination Service
Ants Extermination Service

Ants extermination services involve the identification and elimination of ant colonies that have invaded a property. Professionals typically perform thorough inspections to determine the extent of the infestation and locate nesting sites. Treatment methods may include the application of targeted baits, insecticides, or barriers designed to disrupt the ants’ ability to access food and shelter. The goal is to reduce or eliminate ant populations, preventing further intrusion and damage.

These services help resolve common issues associated with ant infestations, such as property damage, contamination of food supplies, and general nuisance. Certain ant species, like carpenter ants, can compromise the structural integrity of wooden elements in buildings, while others, such as fire ants, pose stinging threats to residents and visitors. Exterminators focus on addressing these problems effectively, minimizing the risk of recurring infestations and ensuring a safer, cleaner environment.

Ants extermination services are frequently used in residential properties, including single-family homes, apartments, and condominiums. Commercial properties, such as restaurants, grocery stores, and warehouses, also commonly seek professional assistance to maintain pest-free environments. Additionally, property managers and landlords often utilize these services to uphold property standards and prevent infestations from spreading across multiple units or tenants.

Engaging with local pest control providers for ant extermination offers tailored solutions suited to specific property types and infestation levels. These professionals assess the unique conditions of each property and recommend appropriate treatment strategies. Contacting experienced service providers can help property owners and managers effectively manage ant problems, ensuring the health, safety, and comfort of occupants and visitors.

The overview below groups typical Ants Extermination Service projects into broad ranges so you can see how smaller, mid-sized, and larger jobs often compare in Cartersville, GA.

In many markets, a large share of routine jobs stays in the lower and middle ranges, while only a smaller percentage of projects moves into the highest bands when the work is more complex or site conditions are harder than average.

Initial Inspection - The cost for an ant inspection typically ranges from $50 to $150, depending on the property size and complexity. Some providers may charge a flat fee or include it in treatment estimates.

One-Time Treatment - One-time ant extermination services generally cost between $150 and $300. Larger infestations or difficult-to-reach areas may increase the price slightly.

Ongoing Maintenance - Regular ant control plans can range from $30 to $70 per month, depending on the frequency of treatments and property size. These plans often include periodic inspections and treatments.

Per-Visit Service - Single visits for ant extermination usually cost between $100 and $250. The final price may vary based on the severity of the infestation and treatment methods used.

Actual totals will depend on details like access to the work area, the scope of the project, and the materials selected, so use these as general starting points rather than exact figures.

Get an Ants Extermination Service Quote

Ants Extermination services involve professionals who specialize in identifying and eliminating ant infestations in residential and commercial properties in Cartersville, GA and nearby areas.

Local ant control providers utilize targeted treatments to effectively remove ant colonies and prevent future invasions.

Experts in ant extermination assess property conditions to determine the most appropriate approach for each situation.

Ants Extermination services may include both chemical and non-chemical methods tailored to specific ant species and infestation levels.

Contacting local pros for ant control ensures the use of industry-standard techniques to address ant problems efficiently.

Professionals in this field can offer advice on preventing ant re-infestations and maintaining pest-free environments.

Ants Extermination Service

When comparing local ant extermination service providers, experience is an important factor to consider. Homeowners may want to review how long each contractor has been operating in the Cartersville area or nearby communities, as well as their familiarity with common ant infestations in the region. Established providers often have a history of handling various ant species and property types, which can contribute to more effective treatment strategies. Gathering information about their background through reputable references can help ensure that the chosen professional has a track record of reliable service and customer satisfaction.

Clear communication and written expectations are essential when selecting a pest control provider. Homeowners should look for providers who offer detailed information about their methods, what treatments will be used, and any preparations required before service. Transparent communication helps set realistic expectations and reduces misunderstandings. It’s also beneficial to inquire whether the contractor provides written estimates or service plans, ensuring that all parties have a shared understanding of the scope and approach of the ant extermination process.

Reputable references and reviews can provide insight into the quality of a local ant extermination service provider. Homeowners may seek out testimonials or feedback from previous clients to gauge the professionalism, effectiveness, and reliability of the contractor. Additionally, understanding how the provider communicates throughout the process-such as responsiveness to questions or concerns-can influence the decision. Since this platform introduces local options rather than performing the work, it’s recommended that homeowners contact multiple professionals to compare their experience, references, and communication style to find the most suitable match for their needs.

Get an Ants Extermination Service Quote

Property owners in Cartersville, GA use Ants Extermination Service services for practical projects around their homes and businesses. The sections below highlight everyday jobs and straightforward project options.

Ants Extermination Service
Ants Extermination Service

Ants extermination services are commonly sought by property owners in Cartersville, GA, who notice ant activity around their homes or businesses. Common situations include seeing ant trails in kitchens, bathrooms, or along exterior walls, which can indicate an ongoing infestation. Property owners may also request professional assistance when ant problems persist despite using over-the-counter treatments or when they want to prevent future invasions, especially during warmer months when ants are more active.

In addition to visible ant colonies, property owners often seek extermination services to address concerns about potential damage or hygiene issues caused by ants. For example, ants can contaminate food supplies or create nests in hidden areas, leading to increased pest activity. Local service providers can assess the situation, identify ant species, and recommend appropriate treatment options to help maintain a pest-free environment.

Get an Ants Extermination Service Quote

How do ant extermination services work? Ant extermination services typically involve inspecting the property to identify ant entry points and nests, followed by applying targeted treatments to eliminate the colony and prevent future infestations.

Are ant extermination treatments safe for pets and children? Many extermination providers use treatments that are safe when applied properly; it’s recommended to discuss safety concerns with local pros before treatment.

How long does an ant extermination treatment last? The duration of effectiveness varies depending on the treatment method and ant species, but professional services aim to provide long-lasting control of ant populations.

Can ant extermination services prevent future infestations? Yes, local pest control providers can implement strategies and treatments designed to reduce the likelihood of ants returning to the property.

What should I do before an ant extermination service appointment? It’s generally advised to clear the area of food and clutter to allow access for treatment and to follow any specific instructions provided by the service provider.

Ants Extermination Services - Local pest control providers offer targeted treatments to eliminate ant colonies and prevent future infestations.

Inspection and Identification - Professionals can assess property conditions to identify ant entry points and nesting areas for effective removal strategies.

Integrated Pest Management - Service providers may implement comprehensive plans combining baiting, barrier treatments, and sanitation advice.

Ongoing Monitoring and Prevention - Experts can establish ongoing inspection routines to ensure ants do not return and to maintain pest-free spaces.

Ants Extermination Service

Considering Ants Extermination Service for a property in Cartersville, GA? The sections above highlight common project types, practical options, and details that often shape the scope of work.

When you are ready, use the quote form to share a few details about your project. Local pros can review the basics and respond with options that match what you have in mind.

Get an Ants Extermination Service Quote

Ants Extermination Quotes

Our Trusted Partners
Orkin
Hawx Pest Control
Rentokil-Terminix