Local Service Overview

Get Ants Extermination Service in Paulding County, GA

Ants extermination services for property owners in Paulding County, GA, and nearby areas address ant infestations, prevent future invasions, and handle residential and commercial pest control projects.

Paulding County, GA

Ants extermination services provide property owners in Paulding County, GA with an effective solution to manage and eliminate ant infestations. These services help maintain a comfortable living and working environment by preventing the nuisance and potential damage caused by ants. Proper extermination can also enhance the overall safety of a property, reducing the risk of ants contaminating food or triggering allergies, and preserving the functionality of outdoor and indoor spaces.

Engaging professional exterminators offers benefits such as increased durability of structures by preventing ant-related damage and reducing ongoing maintenance needs. Additionally, a pest-free property can boost curb appeal, making homes and businesses more attractive and welcoming. By addressing ant issues promptly and effectively, property owners can enjoy peace of mind and a more enjoyable, well-maintained environment.

Get Ants Extermination Service Quotes

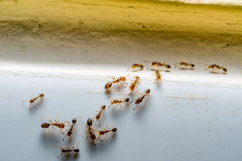
  • Ants Extermination - needed when ants invade kitchens, bathrooms, or outdoor areas in residential or commercial properties.
  • Ants Extermination - required when persistent ant colonies threaten to spread within homes or business premises.
  • Ants Extermination - sought after in areas like Paulding County, GA, and neighboring regions experiencing ant infestations.
  • Ants Extermination - necessary when ant activity is observed around foundations, doorways, or window frames.
  • Ants Extermination - appropriate for properties dealing with recurring ant problems despite previous treatments.

Get Ants Extermination Service Quotes

Ants Extermination Service
Ants Extermination Service
Ants Extermination Service

Ants extermination services involve professional treatments aimed at eliminating ant colonies and preventing future infestations. These services typically include inspection to identify the species of ants and their nesting sites, followed by targeted application of insecticides or baiting systems. The goal is to reduce ant populations effectively while minimizing the impact on the property and its occupants. Experts may also advise on preventative measures to block entry points and reduce attractants that draw ants indoors.

Ant infestations can pose significant problems for homeowners and property managers by damaging structures, contaminating food supplies, and creating unsanitary conditions. Ants, especially species like fire ants or carpenter ants, can cause structural damage or pose health risks through bites or stings. Exterminating these pests helps maintain a clean and safe environment, reducing the likelihood of recurring issues and preventing the spread of ants to other areas of the property.

Various types of properties utilize ants extermination services, including residential homes, apartment complexes, restaurants, and commercial buildings. Residential properties often seek treatment to protect kitchens, pantries, and outdoor spaces from ant invasions. Commercial establishments, especially those involved in food service or hospitality, may require regular pest control to meet health standards and ensure customer safety. The size and use of the property influence the scope and frequency of treatments needed to keep ants under control.

Professional ant extermination services are tailored to address the specific needs of each property type and infestation severity. Service providers often offer customized plans that consider the property’s layout, construction, and surrounding environment. Regular inspections and treatments can help prevent future outbreaks, ensuring the property remains ant-free. Contacting local pest control experts can provide the necessary assistance to manage and eliminate ant problems effectively.

The overview below groups typical Ants Extermination Service projects into broad ranges so you can see how smaller, mid-sized, and larger jobs often compare in Paulding County, GA.

In many markets, a large share of routine jobs stays in the lower and middle ranges, while only a smaller percentage of projects moves into the highest bands when the work is more complex or site conditions are harder than average.

Initial Inspection Costs - The cost for an initial ant inspection typically ranges from $50 to $150, depending on the property size and location. Some providers may include a basic assessment as part of a larger treatment package.

Standard Treatment Expenses - A standard ant extermination treatment usually costs between $150 and $300 for residential properties. Larger or heavily infested homes might see prices toward the higher end of this range.

Per-Visit Fees - Many service providers charge between $100 and $250 per visit for ongoing ant control. Multiple visits may be recommended for persistent infestations, impacting total costs.

Guarantee or Follow-Up Costs - Follow-up treatments or guarantees can add $50 to $200 per session, depending on the provider and the extent of the ant problem. Contact local pros for specific pricing details in your area.

Actual totals will depend on details like access to the work area, the scope of the project, and the materials selected, so use these as general starting points rather than exact figures.

Get an Ants Extermination Service Quote

Ants Extermination - Local pest control providers offer targeted treatments to eliminate ant colonies and prevent future infestations in residential and commercial properties.

Ants Control for Homes - Specialists focus on identifying ant entry points and applying effective solutions to protect households from persistent ant problems.

Commercial Ants Removal - Business-focused services help maintain clean and pest-free environments by addressing ant issues in retail, office, and industrial spaces.

Outdoor Ants Treatment - Professionals treat outdoor areas such as gardens and lawns to eliminate ant nests and reduce the risk of ants invading indoor spaces.

Ants Prevention Services - Experts provide ongoing prevention strategies to keep ant populations from returning after initial extermination efforts.

Specialized Ants Pest Control - Experienced service providers utilize advanced techniques to target specific ant species and ensure comprehensive eradication.

Ants Extermination Service

When comparing local professionals for ant control services, experience is an important factor to consider. It can be helpful to look into how long a service provider has been operating in the Paulding County area or nearby communities, as well as their familiarity with common ant species and local conditions. Reputable providers often have a history of successfully handling ant infestations, which can be a sign of their expertise and reliability. Gathering information about a contractor’s background through references or reviews can provide insights into their track record and the quality of their work.

Clear communication and written expectations are essential when selecting a pest control professional. A reputable local provider should be willing to discuss the scope of services, methods used, and any preparations needed before treatment. They should also provide detailed, written information about what homeowners can expect during and after the service, including any follow-up or maintenance recommendations. This transparency helps ensure that there are no misunderstandings and that the homeowner’s needs are fully understood and addressed.

Reputable references and reviews can further assist in evaluating local ant extermination providers. Checking for feedback from previous clients can reveal consistent patterns of satisfaction or highlight potential concerns. Additionally, professional service providers often maintain open lines of communication, making it easier for homeowners to ask questions, express specific concerns, or request additional information. While the information below introduces local options, it is important to remember that it functions as a lead-generation resource, connecting homeowners with local pros rather than performing the services directly.

Get an Ants Extermination Service Quote

Property owners in Paulding County, GA use Ants Extermination Service services for practical projects around their homes and businesses. The sections below highlight everyday jobs and straightforward project options.

Ants Extermination Service
Ants Extermination Service

Ants extermination services are commonly sought after by property owners in Paulding County, GA, who notice ant activity on their premises. Whether ants are found invading kitchens, pantry areas, or outdoor spaces, residents often look for professional solutions to eliminate these pests and prevent future infestations. Local service providers can assess the extent of ant problems and recommend targeted treatments to address common species such as odorous house ants, carpenter ants, or fire ants.

Property owners may also seek ants extermination when ant colonies threaten structural integrity or create unsanitary conditions. In outdoor environments, ant mounds can interfere with landscaping or pose risks to children and pets. Local pros can implement effective strategies to remove existing colonies and help reduce the likelihood of recurring issues, ensuring a pest-free environment around homes and businesses in the area.

Get an Ants Extermination Service Quote

How do ant extermination services work? Ant extermination services typically involve inspecting the property to identify ant colonies and entry points, then applying targeted treatments to eliminate existing ants and prevent future infestations.

Are ant extermination treatments safe for pets and children? Many local service providers use treatments designed to be safe for households with pets and children; it is advisable to discuss any concerns with the chosen professional.

How long does an ant extermination treatment usually last? The duration of effectiveness varies depending on the treatment method and severity of the infestation, with some treatments providing lasting results for several months.

Will I need multiple treatments to control an ant problem? Some ant infestations may require more than one treatment session to fully eliminate the colony and prevent re-infestation.

How can I prevent future ant problems? Local professionals often recommend maintaining cleanliness, sealing entry points, and addressing moisture issues to help prevent future ant invasions.

Ants Extermination Techniques - Local service providers utilize various methods such as baiting, trapping, and targeted sprays to eliminate ant colonies effectively.

Signs of Ant Infestation - Professionals can identify common indicators like visible trails, ant sightings indoors, and nesting sites to determine the extent of an infestation.

Preventive Ant Control Tips - Service providers offer advice on sealing entry points, removing food sources, and maintaining clean environments to reduce ant activity.

Choosing the Right Ant Exterminator - Contact local pros with experience in ant control to ensure tailored solutions suited to specific property needs.

Ants Extermination Service

Considering Ants Extermination Service for a property in Paulding County, GA? The sections above highlight common project types, practical options, and details that often shape the scope of work.

When you are ready, use the quote form to share a few details about your project. Local pros can review the basics and respond with options that match what you have in mind.

Get an Ants Extermination Service Quote

Ants Extermination Quotes

Our Trusted Partners
Orkin
Hawx Pest Control
Rentokil-Terminix