Local Service Overview

Get Ants Extermination Service in Douglasville, GA

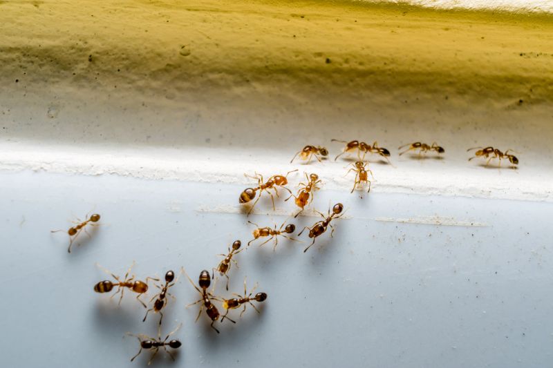
Ants extermination services for property owners in Douglasville, GA, and nearby areas address ant infestations, prevent future invasions, and handle residential and commercial pest control projects.

Douglasville, GA

Ants extermination services are essential for property owners in Douglasville, GA seeking to maintain a comfortable and safe living environment. Infestations can compromise the functionality of a property by damaging structures, contaminating food supplies, and creating unwanted nuisances. Professional extermination helps to eliminate these pests effectively, reducing the risk of recurring issues and minimizing ongoing maintenance needs. This service also enhances curb appeal by ensuring that outdoor areas and entry points remain free of ant colonies, contributing to a neat and well-kept appearance.

Engaging with local extermination experts offers the benefit of durable pest control solutions that protect properties over time. Proper treatment not only addresses current ant problems but also helps prevent future invasions, supporting long-term property safety and stability. Property owners often look for reliable services that provide peace of mind, allowing them to enjoy their homes and outdoor spaces without the concern of persistent ant activity. Proper pest management ultimately supports the overall functionality and aesthetic appeal of properties in the Douglasville area.

Get Ants Extermination Service Quotes

  • Ants Extermination - needed when ants invade homes or commercial properties in areas like Douglasville, GA and nearby regions.
  • Ants Extermination - required for persistent ant colonies that threaten to spread within residential yards and gardens.
  • Ants Extermination - essential when ants are found nesting inside walls, attics, or other hard-to-reach locations.
  • Ants Extermination - sought after when ant activity increases during warmer months in neighborhoods across the area.
  • Ants Extermination - necessary for preventing future infestations after initial ant removal efforts in local properties.

Get Ants Extermination Service Quotes

Ants Extermination Service
Ants Extermination Service
Ants Extermination Service

Ants extermination services involve professional treatments designed to eliminate ant colonies and prevent future infestations. These services typically include inspection to identify the species and extent of the problem, followed by targeted application of pest control solutions. The goal is to remove visible ants and disrupt their nests, often using specialized baits, dusts, or sprays that are safe for indoor and outdoor environments. The process may also involve advice on reducing attractants and sealing entry points to help maintain a pest-free property.

Ant infestations can cause a variety of issues for property owners, including structural damage, contamination of food supplies, and general nuisance. Certain ant species, such as carpenter ants, are known for damaging wood structures, which can compromise the integrity of homes and commercial buildings. Additionally, some ants may carry bacteria and other pathogens, posing health concerns. Professional extermination services aim to address these problems efficiently, reducing the risk of recurring issues and ensuring a cleaner, safer living or working environment.

Properties commonly seeking ant extermination services include residential homes, especially those with kitchens and food storage areas, as well as commercial establishments like restaurants and grocery stores. Larger properties such as warehouses, office buildings, and institutional facilities may also require pest control solutions to manage ant populations effectively. In rural or suburban areas, farms and outdoor spaces may benefit from targeted treatments to protect crops and maintain outdoor comfort. Regardless of property type, professional pest control providers tailor their approach to meet specific needs and severity levels.

Engaging with local pest control professionals for ant extermination services ensures that property owners receive expert solutions suited to their situation. These specialists utilize proven methods to identify the source of ant problems and implement effective treatment plans. Proper treatment not only addresses current infestations but also helps prevent future invasions by identifying and sealing potential entry points. Contacting experienced service providers can be a crucial step in maintaining a pest-free environment, whether in a home, business, or outdoor space.

The overview below groups typical Ants Extermination Service projects into broad ranges so you can see how smaller, mid-sized, and larger jobs often compare in Douglasville, GA.

In many markets, a large share of routine jobs stays in the lower and middle ranges, while only a smaller percentage of projects moves into the highest bands when the work is more complex or site conditions are harder than average.

Initial Inspection - The cost for an ant inspection typically ranges from $50 to $150, depending on the size of the property and complexity. Some providers may charge a flat fee for the assessment, which can include identifying ant species and entry points.

Standard Treatment - A standard ant extermination service often costs between $100 and $300. This usually covers perimeter treatments and targeted baiting for small to medium-sized homes in Douglasville and nearby areas.

Multiple Treatments - For ongoing infestations requiring multiple visits, costs can range from $200 to $500. These services may include follow-up visits and additional baiting or barrier treatments.

Specialized Services - For complex or severe ant problems, specialized treatments may cost $300 to $700. This can involve advanced baiting systems, granular treatments, or localized applications in hard-to-reach areas.

Actual totals will depend on details like access to the work area, the scope of the project, and the materials selected, so use these as general starting points rather than exact figures.

Get an Ants Extermination Service Quote

Ants Extermination services connect homeowners with local pest control professionals who specialize in identifying and eliminating ant infestations. These experts use targeted treatments to effectively reduce ant populations in residential and commercial properties.

Ants Prevention services involve partnering with local providers to implement strategies that prevent future ant invasions through barrier treatments and property inspections. Professionals help maintain ant-free environments through ongoing monitoring.

Ants Inspection services link users with specialists who perform thorough inspections to locate ant nests and identify infestation sources. Accurate assessments assist in developing effective treatment plans.

Ants Baiting services connect clients with technicians experienced in deploying bait stations to control ant colonies safely and efficiently. Baiting methods target the colony at its source for long-term results.

Ants Treatment services involve coordinating with local pest control providers skilled in applying chemical and non-chemical treatments to eradicate ants. Proper treatment ensures the removal of existing colonies.

Ants Removal services facilitate access to professionals who specialize in the complete removal of ant infestations from homes and businesses. Experienced pros ensure the area is thoroughly cleared of ants and nests.

Ants Extermination Service

When selecting professionals for ants extermination services, experience is a key consideration. Homeowners should look for local service providers with a proven track record in pest control, particularly in handling ant infestations. An experienced contractor will typically have a history of successful treatments within the community, which can be an indicator of their familiarity with common ant species and effective eradication methods. Reviewing the length of time a provider has been operating in the area can help gauge their familiarity with local conditions and pest behaviors.

Clear communication and written expectations are vital components of a successful service experience. Homeowners are encouraged to seek out local pros who provide detailed information about their treatment processes, methods, and any preparations needed beforehand. Establishing transparent expectations helps ensure that both parties understand the scope of work and can prevent misunderstandings. Reputable service providers often offer written estimates or agreements that outline the services to be performed, which can serve as a helpful reference throughout the process.

Reputable references and reliable communication are also essential when choosing a pest control provider. Homeowners should consider local pros who can provide references or reviews from previous clients in the community, demonstrating a history of dependable service. Open and prompt communication from the contractor-whether through email, online forms, or other channels-can help ensure questions are answered and concerns addressed efficiently. While the information below introduces local options, it is important to contact the individual service providers directly to confirm their reputation, communication style, and ability to meet specific needs.

Get an Ants Extermination Service Quote

Property owners in Douglasville, GA use Ants Extermination Service services for practical projects around their homes and businesses. The sections below highlight everyday jobs and straightforward project options.

Ants Extermination Service
Ants Extermination Service

Ants extermination services are commonly sought by property owners in Douglasville, GA, when they notice an ant infestation inside or around their homes. Common situations include discovering trails of ants in kitchens, bathrooms, or other living areas, which can indicate a growing colony nearby. Property owners may also seek assistance when ant activity begins to interfere with daily routines or when previous DIY efforts to control the problem have been unsuccessful.

Additionally, residents often look for ant extermination services to prevent future invasions and protect their property from potential damage. Ants can sometimes threaten wooden structures or contaminate food supplies, prompting property owners to seek professional help for effective and lasting solutions. Connecting with local service providers ensures access to experienced professionals who can address these common concerns efficiently.

Get an Ants Extermination Service Quote

How do ant extermination services work? Ant extermination services typically involve inspecting the property to identify ant entry points and nests, followed by targeted treatments to eliminate the colony and prevent future infestations.

Are ant extermination treatments safe for pets and children? Most professional ant treatments are designed to be safe when applied by experienced service providers, but it's recommended to follow any specific safety instructions provided by the local pros.

How long does an ant extermination treatment take to be effective? The effectiveness of treatments can vary, but many services aim to reduce ant activity within a few days after application.

Can ant extermination services prevent future infestations? Yes, professional services often include recommendations and treatments to help prevent future ant problems and keep the property protected.

Is it necessary to prepare my home before ant extermination service? Preparation steps may include cleaning the area and removing food sources, but specific instructions can be provided by the local service provider during the consultation.

Ants Identification - Learn how to recognize different ant species and signs of infestation to determine the severity of the problem.

Extermination Methods - Explore various ant control techniques used by local service providers to effectively eliminate colonies.

Preventive Tips - Discover strategies to reduce the likelihood of future ant invasions around your property.

Professional Assistance - Contact experienced exterminators in Douglasville, GA, for tailored solutions to ant infestations.

Ants Extermination Service

Considering Ants Extermination Service for a property in Douglasville, GA? The sections above highlight common project types, practical options, and details that often shape the scope of work.

When you are ready, use the quote form to share a few details about your project. Local pros can review the basics and respond with options that match what you have in mind.

Get an Ants Extermination Service Quote

Ants Extermination Quotes

Our Trusted Partners
Orkin
Hawx Pest Control
Rentokil-Terminix