Local Service Overview

Get Ants Extermination Service in Cherokee County, GA

Ants extermination services for Cherokee County, GA, and nearby areas address ant infestations, prevent future invasions, and handle residential and commercial pest control projects.

Cherokee County, GA

Ants extermination services provide property owners in Cherokee County, GA with effective solutions to manage and eliminate ant infestations. Addressing these pests helps maintain a comfortable living or working environment by preventing the nuisance and potential damage caused by ants. Additionally, professional extermination enhances safety by reducing the risk of ants contaminating food or triggering allergies, while preserving the functionality and durability of structures by preventing damage to wiring, insulation, and woodwork.

Engaging with local extermination providers can also improve curb appeal by ensuring properties remain clean and pest-free. Reduced maintenance efforts result from effective pest control, minimizing the need for repeated treatments or repairs caused by ant activity. Overall, these services contribute to a safer, more comfortable, and visually appealing property, giving property owners peace of mind and long-term protection against ant-related issues.

Get Ants Extermination Service Quotes

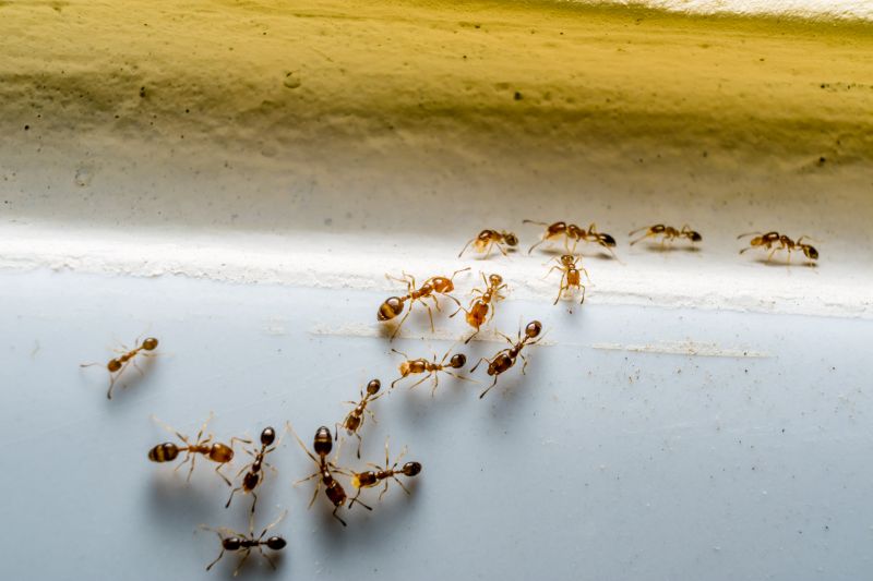
  • Ants Extermination - needed when ants invade kitchens, bathrooms, or other indoor areas in residential or commercial properties.
  • Ants Extermination - necessary when a persistent ant colony is discovered outdoors near homes or businesses in Cherokee County, GA.
  • Ants Extermination - sought after when ant trails and nests are visible, indicating an active infestation requiring professional removal.
  • Ants Extermination - required when ants are causing damage to plants, structures, or stored goods in nearby neighborhoods.
  • Ants Extermination - appropriate when recurring ant problems persist despite initial DIY efforts in local areas.

Get Ants Extermination Service Quotes

Ants Extermination Service
Ants Extermination Service
Ants Extermination Service

Ants extermination services involve identifying and eliminating ant infestations within residential, commercial, or industrial properties. Service providers typically conduct thorough inspections to locate ant colonies and determine the species involved. Treatment methods may include the application of targeted baits, insecticidal dusts, or sprays designed to eradicate the ants at their source. The goal is to eliminate visible ants and disrupt their nests, preventing future invasions and reducing the risk of associated property damage or contamination.

These services help address common problems caused by ant infestations, such as property damage, contamination of food supplies, and general nuisance. Certain ant species, like carpenter ants, can cause structural harm by excavating wood to create nests, while others, such as odorous house ants or fire ants, can pose health risks through bites or allergic reactions. Eliminating ants promptly can help prevent these issues from escalating and maintain a clean, pest-free environment.

Properties that typically utilize ants extermination services include single-family homes, apartment complexes, restaurants, and retail stores. Residential properties often seek treatment to protect food storage areas and prevent bites or allergies. Commercial establishments, especially those involved in food preparation or service, prioritize pest control to meet health and safety standards. Additionally, property managers and landlords may arrange for regular pest control to maintain the overall condition and appeal of their buildings.

Professional ant extermination services often combine inspection, targeted treatments, and follow-up assessments to ensure complete eradication. Service providers tailor their approaches based on the severity of the infestation and the specific ant species involved. This comprehensive approach helps property owners and managers maintain pest-free environments, reducing the likelihood of recurring problems and safeguarding the property’s integrity and hygiene.

The overview below groups typical Ants Extermination Service projects into broad ranges so you can see how smaller, mid-sized, and larger jobs often compare in Cherokee County, GA.

In many markets, a large share of routine jobs stays in the lower and middle ranges, while only a smaller percentage of projects moves into the highest bands when the work is more complex or site conditions are harder than average.

Initial Inspection - The cost for an initial ant inspection typically ranges from $100 to $250, depending on the size of the property and extent of infestation. Some providers may charge a flat fee within this range for a thorough assessment.

One-Time Treatment - A single ant extermination treatment can cost between $150 and $300. Prices vary based on the severity of the problem and the area that needs treatment.

Ongoing Pest Management - Monthly or quarterly ant control plans generally range from $50 to $150 per visit. These plans often include regular treatments to prevent future infestations.

Area Coverage - Costs to treat specific areas such as kitchens or outdoor nests usually fall between $100 and $250 per site. The size and accessibility of the targeted area influence the final price.

Actual totals will depend on details like access to the work area, the scope of the project, and the materials selected, so use these as general starting points rather than exact figures.

Get an Ants Extermination Service Quote

Ants Extermination services involve identifying ant infestations and implementing targeted treatments to eliminate colonies. Local pest control providers offer solutions tailored to residential and commercial properties in Cherokee County, GA.

Ants Extermination projects include inspection, baiting, and chemical treatments designed to remove ant populations effectively. Service providers focus on preventing future invasions and reducing ant activity.

Ants Extermination specialists utilize various methods to address different ant species and infestation levels. Professionals assess property conditions to recommend the most appropriate treatment options.

Ants Extermination efforts may involve sealing entry points and advising on property maintenance to minimize ant access. Local providers work to create long-term ant control solutions for homes and businesses.

Ants Extermination services are suitable for addressing both small-scale and severe ant problems. Experienced pest control providers deliver customized plans based on the extent of the infestation.

Ants Extermination providers emphasize safety and effectiveness when applying treatments to ensure minimal disruption. Contacting local pros can help identify the best approach for specific ant issues in Cherokee County, GA.

Ants Extermination Service

When comparing local ant extermination service providers, experience can be a key factor to consider. Pros with a longstanding presence in Cherokee County, GA, and surrounding areas often have a deeper understanding of local ant species and common infestation patterns. This familiarity can contribute to more effective treatment strategies. It is helpful to review the backgrounds of different service providers to gauge their familiarity with local conditions and their ability to handle diverse ant problems efficiently.

Clear communication and setting written expectations are essential when selecting a pest control provider. Reputable local pros typically provide detailed information about their treatment methods, the scope of work, and any necessary follow-up procedures. Having these details in writing helps ensure transparency and allows homeowners to understand what to expect from the service. Open, straightforward communication also facilitates addressing any questions or concerns that may arise during the process.

Reputable references and reviews can offer insight into the reliability and quality of a local ant extermination service provider. Pros with established reputations often have a history of positive feedback from previous clients within the community. Contacting references or reviewing online testimonials can help gauge the consistency of service and customer satisfaction. Additionally, effective communication and responsiveness from the provider are indicative of a professional approach, making it easier for homeowners to feel confident in their choice of local service providers for ant extermination needs.

Get an Ants Extermination Service Quote

Property owners in Cherokee County, GA use Ants Extermination Service services for practical projects around their homes and businesses. The sections below highlight everyday jobs and straightforward project options.

Ants Extermination Service
Ants Extermination Service

Ants extermination services are commonly sought after by property owners in Cherokee County, GA, who notice ant activity around their homes or businesses. Common situations include finding trails of ants in kitchens, bathrooms, or outdoor living areas, which can be a nuisance and a potential sign of larger infestations. Property owners may also seek professional help after attempting DIY methods that do not fully eliminate the problem, especially when ants return or multiply despite initial efforts.

In addition to visible ant colonies, property owners might look for extermination services to prevent future invasions or protect gardens and landscaping from ant-related damage. Ants can sometimes indicate underlying issues, such as moisture problems or access points that need sealing. Local service providers can help identify the source of the infestation and implement targeted treatments to restore comfort and safety to residential or commercial properties in the area.

Get an Ants Extermination Service Quote

How do ant extermination services work? Ant extermination services typically involve inspecting the property to identify ant entry points and nesting areas, followed by targeted treatments using baits, sprays, or dusts to eliminate colonies and prevent future infestations.

Are ant extermination treatments safe for pets and children? Many local pros use treatments that are safe when applied according to instructions; it is advisable to discuss safety concerns with the service provider before treatment.

How long does an ant extermination treatment last? The duration of effectiveness varies depending on the treatment method and extent of the infestation, with some treatments providing long-term control when combined with preventive measures.

Can ant extermination services prevent future infestations? Yes, professional treatments often include recommendations for ongoing prevention to reduce the likelihood of future ant problems.

How can I prepare for an ant extermination service? Preparation may involve clearing the areas around ant entry points and following any specific instructions provided by the service provider to ensure effective treatment.

Ants Extermination Solutions - Local pest control providers offer targeted treatments to eliminate ant colonies and prevent future invasions.

Inspection and Identification - Pros can assess property conditions to identify ant entry points and nesting sites for effective removal strategies.

Preventative Treatments - Service providers can apply barriers and treatments to reduce the likelihood of ant re-infestation around homes and businesses.

Ongoing Monitoring and Maintenance - Professionals can establish ongoing plans to monitor ant activity and ensure long-term control.

Ants Extermination Service

Considering Ants Extermination Service for a property in Cherokee County, GA? The sections above highlight common project types, practical options, and details that often shape the scope of work.

When you are ready, use the quote form to share a few details about your project. Local pros can review the basics and respond with options that match what you have in mind.

Get an Ants Extermination Service Quote

Ants Extermination Quotes

Our Trusted Partners
Orkin
Hawx Pest Control
Rentokil-Terminix